This was the final of a series of improvements at the intersection since removal of the electronic signals.
Posts tagged as “Main Street”
The SUV ended up with its front end into the guardrail on the bridge sidewalk.
The unmarked police SUV was eastbound on Main Street when it collided with a 4-door Subaru Impreza hatchback.
The project is expected to take up to 3 weeks.
Main Street parking will be impacted Thursday morning.
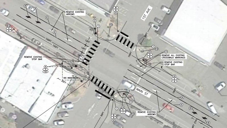
The project will remove the east crosswalk and replace left turn lanes with 2-way left turn lanes.
The work is being done in preparation for a restaurant to open at the location.
Main Street was closed for about 3 hours after the crash.
Part of the project wil involve "pavement marking changes, and removing the ADA ramps and crosswalk on the east side of the intersection."







