Press "Enter" to skip to content

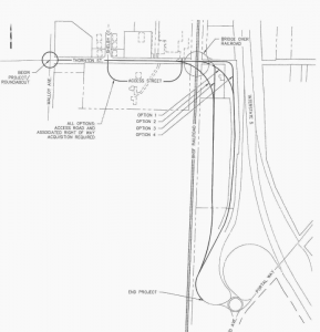
Thornton Overpass design options from Shearer Design 2015-02

Thornton Overpass design options from Shearer Design 2015-02


Discover more from Whatcom News

Subscribe to get the latest posts sent to your email.

My custom footer text